Zweidorf

Aus brunsbuettel-wiki.de
Zur Navigation springen Zur Suche springen
Header-Zweidorf.jpg

Diese und die anderen Seiten erheben keinen Anspruch auf Vollständigkeit.

Jeder Leser, der Werbung, Fotos, Bilder oder Informationen dazu beitragen kann, sei hiermit herzlich gebeten, mir diese zukommen zu lassen.
Uwe Möller, Tel. 04852 2189, mail: Gabuwe@t-online.de

An dieser Stelle einen besonders herzlichen Dank:
an Bernd Schmidt, der mir mit Fotos und Informationen sehr geholfen hat.

Dank auch
an das Stadtarchiv, Egbert Koch Hamburg, Dieter Ausborm, Uwe Borchers, Helga Jungklaus, Rainer Förtsch, Bernd Mehlert, Brigitte Schwardt, Telse Hecker, Familie Gleimius, Gerda Grabowski, Günter Pump, Hartmut Kath, Henning Ebsen, Hildegard Hudemann, Karl Martin, Karl-Heinz Sell, Luise Kolberg, Manfred Janke, Oliver Wleklinski, Peter Tabbert, Peter Umland, Renate Druminski, Werner Witt, der BZ, dem Archiv WSA-Ostsee, dem Brunsbüttel-Magazin, dem Oorlogsmuseum Middelstum und dem WSA-NOK für Daten, Unterlagen, Postkarten, Fotos, Zeitungsartikel und sonstige Unterstützung.


an die Initiative Brunsbüttel-Süd (https://www.brunsbuettel-sued.de/die-ibs/), die mit viel Aufwand sämtliche Fotos des Fotografen Paul Ausborm gescannt hat,

Batterie Zweidorf

Kanal-Zeitung 13.05.1914
Kanal-Zeitung 13.11.1918

(Text größtenteils aus: „Die Geschichte der Batterie Zweidorf“ und „Der militärische Schutz des Kaiser-Wilhelm-Kanals im 1. Weltkrieg“ von Oliver Wleklinski und Hartmut Kath)

Die Batterie Zweidorf befand sich westlich von Brunsbüttel (Ort), ungefähr dort, wo heute der stillgelegte Elbfähranleger Brunsbüttel-Cuxhaven ist.

Batterie Zweidorf, Foto Emil Hecker ca. 1920
10,5cm-Geschütz

Nach der Eröffnung des Kaiser-Wilhelm-Kanals 1895 (während der Planung und Bauzeit sowie ab 1948 bis heute Nord-Ostsee-Kanal) wurden Überlegungen angestellt, wie die Schleusen gegen Landungsversuche feindlicher Truppen geschützt werden konnten.
Zu diesem Zweck wurden Geschütze auf den Molenköpfen (siehe Fotos) - und 1911 ca. 3 km westlich der Kanalmündung die Batterie Zweidorf errichtet. Diese bestand aus 4 in den Deich eingelassenen Hochbettungen aus Beton und wurde mit 4 Geschützen des Kalibers 10,5cm bestückt. Eingegraben unter freiem Himmel auf der Rückseite des 7m hohen Deiches mußten die Geschütze im Ernstfall über eine 65 cm hohe Betonmauer feuern.

Im Spätsommer 1913 entstand westlich von Zweidorf, an einem markanten Deichknick bei Hermannshof eine Wachzentrale. Das binnenseits des Deichs errichtete Gebäude hatte einen turmartigen Aufbau, der eine gute Beobachtungsmöglichkeit des Elbfahrwassers ermöglichte. Ein Scheinwerfer mit 150 cm Durchmesser stellte die Einsatzfähigkeit der Wachzentrale auch in der Nacht sicher.

Da solche Einbauten in den Deich - wie beispielsweise hier die Geschützbettungen - immer die Deichsicherheit bei Hochwasser gefährdeten, war u.a. eine gute Entwässerung der versiegelten Oberflächen erforderlich, damit z.B. nicht die schützende Grasnarbe weggespült oder der Deich partiell durchfeuchtet wird. Daher wurden an jeder Bettung zwei Abflüsse mit Tonrohren vorgesehen, die das Regenwasser nach hinten den Deich hinunter ableiteten. Die Bettungen waren vom Deichverteidigungsweg aus durch drei hölzerne, zwischen den Bettungen liegende Treppen erreichbar. Diese Treppen ermöglichten eine schnelle und gute Erreichbarkeit der Geschütze von den Unterkünften aus. Auf dem Deich soll vor der Batterie noch eine „Palisade“ gestanden haben. Diese diente aber möglicherweise weniger als Annäherungshindernis, sondern vielmehr als Absperrung gegen Spaziergänger oder auch gegen auf dem Deich weidende Tiere.

Gut 50 m westlich der Batterie lag noch ein aus Ziegelsteinen gemauerter Munitionsschuppen, der zudem mit einem Graben und einer Drahteinfriedung umgeben war. Räumlich unterteilt war dieses Magazin in einen Munitionsraum und einen Zünderraum mit Vorraum. Die Mannschaften waren in einer Kaserne untergebracht, die ebenfalls hinter der Batterie lag. Diese sogenannte Kaserne war eine massiv erbaute Mannschaftsbaracke, die auch als Untertreteraum bezeichnet wurde. Der Untertreteraum hatte zwei große Unterkunftsräume, einen Telegraphenraum, eine Küche mit separatem Vorrats- und Kohlenraum sowie einen Abort. Diese beiden Bauten gehörten zum Ursprungsbestand der Batterie.

Ca. 9,00 m östlich des Untertreteraums wurde ein Scheinwerferraum errichtet und ein Benzinlager nur 2,00 m östlich des Scheinwerferschuppens. Der massiv aus Ziegelsteinen auf Betonfundamenten errichtete Schuppen enthielt einen Raum mit zwei großen Einfahrtstoren für Scheinwerfer mitsamt Zubehör, einen Raum für die Bedienungsmannschaft, eine Wachstube, einen Vorraum und einen kleinen Kohlenraum. Das Benzinlager war eigentlich nur ein kleiner, etwa 1,00 m hoher Verschlag, in dem fünf Fässer gelagert werden konnten, deren Inhalt wohl zum Betrieb eines Stromaggregats für den Scheinwerfer benötigt wurde.

In Höhe des abgesetzt liegenden Munitionsraums war zeitweise ein 120 cm Scheinwerfer auf dem Deich eingesetzt. Dieser war außerhalb der Einsatzzeiten wahrscheinlichlich wettergeschützt in dem Scheinwerferschuppen untergebracht

Weiterhin gab es noch ein Öl - Magazin, einen Raum für Beleuchtungsmittel und einen Raum für Brennmaterial. Ein Brunnenschacht mit Pumpe stellte die Trinkwasserversorgung sicher, auch eine Müllgrube sowie ein Abort waren vorhanden.
Ein unterirdisch verlegtes Kabel sorgte für eine Telefonverbindung mit der Telefonzentrale und dem Mannschaftsunterstand Mole II.

Die Batterie war vom Deichverteidigungsweg über hölzerne Treppen erreichbar. Unter den Geschützbettungen waren Nischen für Bereitschaftsmunition vorhanden.

Batterie Zweidorf 1918

Zweidorf im 2. Weltkrieg

Nach dem 1. Weltkrieg konnte die Batterie Zweidorf weiterhin zum Übungsschießen verwendet werden, da sie nicht unter die Bestimmungen des Versailler Vertrages fiel.
Sie wurde beispielsweise Ende der 1920er-Jahre von der M.A.A. Kiel zum Übungsschießen mit 10,5 cm-Flak benutzt. In einem Schreiben des Marine-Waffenamtes vom 9.10.1934 wurde die Batterie Zweidorf als eine der im Endziel mit 10,5cm Flak zu bestückenden Batterien festgelegt.

Im Frühjahr 1935 wurden dann erstmals Überlegungen zum Verlegen der Batterie an einen neuen Standort angestellt. Am 30.8.1939 wurde die Batterie gefechtsbereit gemeldet und am 27.9.1939 mit 3x 10,5cm Geschützen in die neue Stellung Zweidorf verlegt. Bis 30.9.1939 wurde der Ausbau weiter vorangetrieben. Es wurde eine behelfsmäßige Küchenbaracke aufgestellt und Planierungs- und Wegebauarbeiten durchgeführt.
Ungeklärt ist bisher, ob die alten Bauten der Batterie mitgenutzt wurden, oder schon das unmittelbar dahinter errichtete Barackenlager benutzt wurde. Dessen Fertigstellungszeitpunkt ist allerdings unbekannt, einige Quellen datieren die Errichtung durch die Wehrmacht auf 1940.
Desweiteren wurde zwischen Deich und Barackenlager ein größerer Bunker im Stile eines Wohnhauses erstellt. Der Bunker diente als Gefechtsstand und nahm unter anderem das Fla-Gruko (Flak-Gruppenkommando) und das Fluko (Flugmeldekommando) Brunsbüttel auf.

Die teilweise flachen Bauten des Barackenlagers wurden aus Gründen der Tarnung durch mit Netzen bespannte, falsche Dachstühle versehen, so daß der Eindruck von normalen Wohnhäusern oder landwirtschaftlichen Bauten erweckt wurde. Zu diesem Zweck mußten die Schornsteine entsprechend erhöht werden.
Zudem wurden die ehemaligen, am Deich gelegenen, Geschützbettungen mit Hochständen überbaut.

Der frühere Untertreteraum aus der Anfangsphase der Batterie muss zu einem unbekannten Zeitraum durch einen etwa gleich großen Bunker ersetzt worden sein, der ebenfalls als Haus getarnt war. Denkbar wäre auch, dass nur ein Teil des Hauses durch einen Bunker ersetzt wurde. Der Bunker könnte dann als bloßer Luftschutzbunker, als Befehlsstelle für das Flakgruppenkommando oder aber auch als Auswertung für das Flugmeldekommando gedient haben. Zeitzeugen und Aktennotizen sprechen auf jeden Fall von einer Bunkerruine an dieser Stelle nach dem Krieg.

Kurz nach Ausbruch des 2. Weltkrieges erlebten die Flakbatterien nordwestlich von Brunsbüttel schon ihren ersten Einsatz. Um 18.00 Uhr des 04.09.1939 kamen elbaufwärts drei zweimotorige britische Bomber vom Typ Wellington angeflogen, vermutlich um das vor Brunsbüttel auf Reede liegende Schlachtschiff „Gneisenau“ oder die Schleusenanlagen des Nord-Ostsee-Kanals anzugreifen. Die vom Flugmeldedienst vorgewarnten Batterien eröffneten sofort auf 1.200 m Zielhöhe das Feuer, darunter auch die Batterie Zweidorf mit 11 Schuß. Ferner gab die Batterie 43 Schuß mit einer Flak-Maschinenwaffe vom Typ 2 cm MG C/30 ab. Die Bomber entzogen sich dem Feuer durch Aufsteigen in die Wolkendecke. Dennoch konnten Jagdeinsitzer kurz darauf einige der Angreifer abschießen. Der konkrete Standort des 2 cm Geschützes innerhalb des Batteriegeländes konnte nicht geklärt werden.

In den Folgejahren verliert sich die Spur der „Batterie Zweidorf“. Fotos nach zu urteilen, wurden die Geschütze zu einem unbekannten Zeitpunkt abgebaut, vermutlich als die Marineflakbatterien des 14. Marine-Flak-Regiments stärker ausgebaut und weiter in Peripherie von Brunsbüttel verlegt wurden. Die Geschützbettungen haben dann wohl als Sockel für Unterstützungsbauten des Flakgruppenkommandos Zweidorf und/oder der westlich benachbart liegenden Marineflakbatterie Groden bzw. Mühlenstraßen gedient. So sind auf Fotos mehrere mit Backsteinen verblendete Bauten auf den Bettungen zu erkennen. Die Geschütze hat man möglicherweise an den Atlantikwall zu dessen Verstärkung verlegt, wo diverse Batterien mit diesem Geschütztyp ausgerüstet waren. Ferner war in Zweidorf das „Flugmeldekommando Brunsbüttel-Zweidorf“ untergebracht, welches auf jeden Fall drei der Bauten im Lager Zweidorf und wohl auch die neuen Bauten auf den Geschützbettungen (mit-)nutzte. Auf Fotos erkennt man ferner 500 m westlich der Batterie einen weiteren Einbau in den Deich, der eine Bettung für leichte Flak oder für einen Scheinwerfer darstellen könnte. Binnendeichs stehen direkt dahinter wohl eine oder zwei kleine Baracken.

Überbaute Geschützbettung III

Ab 1944

Von September 1944 bis zum Kriegsende war in Zweidorf auch eine Marine-Nebel-Abteilung stationiert. Man muss davon ausgehen, dass diese Abteilung, die aus zwei Kompanien und einer Nebelträgergruppe bestand, ebenfalls im Bereich der „Batterie Zweidorf“ untergebracht war. Der Standort war neben den vorhandenen Baulichkeiten auch deshalb recht optimal, da aufgrund der vorherrschenden Westwindlage eine Vernebelung der Kanalschleusen und Betriebe in Brunsbüttel von Zweidorf aus schnell und gut möglich gewesen ist. Die Nebelträger – zumeist kleine umgebaute Kähne und Fischkutter – konnten im Alten Hafen zwischen Soesmenhusen und dem Kanal oder im Kanal selbst anlegen.

Nach dem Krieg ist der Bunker im Lager Zweidorf im Zuge der Demilitarisierung gesprengt worden und blieb zunächst als Ruine liegen. Die Bettungen wurden vermutlich ebenfalls gesprengt. Einbauten in die erste Deichlinie – wie etwa die Geschützbettungen - wurden in den ersten Jahren nach Kriegsende zudem schnell aus Gründen der Deichsicherheit beseitigt.

Bedingt durch die Flüchtlingswelle nach dem 2. Weltkrieg wurden die Steinbaracken Zweidorfs als Unterkünfte verwendet. In dem querliegenden, ehemaligen Verwaltungsgebäude hat der Kaufmann Roman einen „Tante Emma-Laden“ eingerichtet. Seine Wohnung befand sich im ersten Stock. In den späten 1960er-Jahren wurde der Laden aufgegeben. Für die Bewohner der kleinen Barackensiedlung wurde ebenfalls eine Bademöglichkeit und ein Heizungsraum dafür eingerichtet (siehe Foto Zweidorf 1970).

Aus den 1950er-Jahren

Aus den 1960er-Jahren

In späteren Jahren wurden erhebliche Deichverstärkungsmaßnahmen durchgeführt, die spätestens dann alle Spuren auslöschten. Auch von den Bauten der Batterie hinter dem Deich und vom Barackenlager des „Flakgruppenkommandos Zweidorf“ ist nichts mehr erhalten geblieben. Deren Standort ist teilweise durch die in diesem Bereich neu geführte Deichverteidigungsstraße überbaut worden. Die restlichen Baracken verfielen ab den sechziger Jahren immer stärker und das Gelände verkam zunehmend durch Vandalismus. Als die letzten dort untergebrachten Flüchtlinge ausgezogen waren und sich diverse Ideen einer Nachnutzung vom Campingplatz über einen Ponyhof bis hin zu einem Gästehaus für Gastarbeiter aus Südeuropa zerschlagen hatten, wurde im Mai 1981 endgültig die Abbruchgenehmigung für das „Wohnlager Zweidorf“ erteilt. Am 01.07.1981 waren alle Gebäude inklusive der Fundamente beseitigt. Heute hat sich dort ein kleines urwaldähnliches Biotop gebildet.
Nur von den benachbarten Batterien Groden bzw. Mühlenstraßen und Soesmenhusen bzw. Mole IV sind noch bauliche Reste vorhanden.

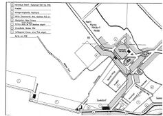
Pläne

Elbfähranleger Zweidorf

Autoaufzug Elbfähranleger 1960er

Die Geschichte der Elbfähre begann bereits im Jahre 1208, als ein gewisser „Vage Boje“ vom Bremer Erzbischof „mit einer Fehr belehnet“ worden ist (Quelle:Neocorus „Chronik des Landes Dithmarschen I“, S.592). Aber das wäre jetzt zu weit hergeholt und nicht Thema dieses Berichtes.

Der Elbfähranleger an der Cuxhavener Straße bei Mole 1 wurde seit 1908 von der „Cuxhaven-Brunsbüttel-Dampfer-AG“ (gegründet von Cuxhavener Seelotsen und Geschäftsleuten) betrieben, hat sich aber nur bis zum Ausbruch des 1. Weltkrieges gehalten.
Nach dem ersten Weltkrieg, 1924, wurde der Fährbetrieb von der Unternehmerin Grete Handorf wieder aufgenommen. Um auch Fahrzeuge transportieren zu können, wurden 1932 in Brunsbüttelkoog und Cuxhaven Autoaufzüge gebaut und 1933 in Betrieb genommen.
In den späten 1960ern begann die Planung, auch LKW- und Busverkehr mit der Fährverbindung zu bewältigen. Das war mit dem derzeitigen Anleger nicht möglich.


Artikel 1966

Nach einem Plan der Reederei „Fährschiff Seelotse GmbH“ Cuxhaven wollte man eine geeignete Verladebrücke links neben der Mole 1 betreiben (Quelle: Artikel der Brunsbüttelkooger Zeitung vom 31.05.1966). Die Finanzierungsmittel in Höhe von ca. 500 000 DM sollten hauptsächlich vom Land Schleswig-Holstein und vom Kreis Süderdithmarschen aufgebracht werden (Brunsbüttelkooger Zeitung vom 27.05.1966).
Nach neueren Planungseinzelheiten und einer Bereisungsfahrt wies der Brunsbüttelkooger Bürgermeister Hinderikus Alberts darauf hin, daß man die Kosten doch unterschätzt hatte, es müßten wohl Finanzmittel in Höhe von ca. 1,2 Millionen DM bereit gestellt werden.

Nach Gesprächen mit dem Ministerium für Wirtschaft und Verkehr, dem Kreis Süderdithmarschen und den Entscheidungsträgern der Stadt Cuxhaven einigte man sich auf eine Fährverbindung zwischen Hermannshof (Zweidorf) und Cuxhaven. Vom ursprünglich anvisierten Zielort Oste wurde Abstand genommen, da die weiteren Verkehrsanbindungen ungünstig waren. (Quelle:Brunsbüttelkooger Zeitung vom 05.08.1966).
Ein Jahr später tauchte auch schon mal der Gedanke einer festen Elbquerung bei Glückstadt auf (Brunsbüttelkooger Zeitung vom 28.07.1967). Man trennte sich dann aber doch wieder von diesem Gedanken.

Für den Verkehr auf der Brunsbütteler – bzw. Brunsbüttelkooger Seite war der Plan insofern vorteilhaft, da „Nordseitler“ für die Fahrt nach Niedersachsen nicht erst mit der Fähre den Kanal überqueren mußten um zur Elbfähre zu gelangen.
Auf niedersächsischer Seite war auch noch die Rede von einem Alternativanleger zwischen Belum und Hadelner Baum, der aber dann doch nicht verwirklicht wurde.

In einer gemeinsamen Sitzung in der Strandhalle wurden von Vertretern des Straßenbauamtes Heide, des Fernmeldeamtes Heide, des Wasserbauamtes Brunsbüttelkoog, der Schleswag, des Wasserbeschaffungsverbandes Süderdithmarschen, des Kreistiefbauamtes, der Baufirma Philipp Holzmann und dem Kirchspielsvorsteher Kaminski die Rahmenbedingungen festgelegt.


Zeitungsartikel

Hermannshof und Müllhalde 1970er
Generalprobe 23.04.1969

Auf einer Pressekonferenz wurde vor allem die Initiative des Landrates Buhse beim Bau des Anlegers auf Dithmarscher Seite hervorgehoben.

Im April 1969 war es dann so weit, eine Generalprobe sollte erfolgen. Diese verlief aufgrund mangelnder Erfahrung des Schiffsführers mit dem Schiff und den gegebenen Strömungsvverhältnissen etwas „holperig“, der Inbetriebnahme am 1. Mai 1969 stand aber nichts im Wege.

Ab dem 20. Juni hatte der Anleger sogar eine regelmäßige Busverbindung.

Prospekte, Werbung der Fährverbindung

Fahrkarte 1969
Fahrkarte 1974

Postkarten der Fährverbindung

Die Fährschiffe

Für den Fährbetrieb mußten neue Schiffe gebaut werden. Eins wurde von der neuen „Fähr- und Schiffahrtsgesellschaft mbH. Cuxhaven und Co.KG“ und eins von der „Grünen Küstenstraße GmbH“gebaut. Beide Fährschiffe - das eine wurde auf der Werft D.W.Kremer Sohn, Elmshorn -, das andere auf einer Stader Werft gebaut – waren baugleich.

Fährschiffe

Technische Einzelheiten:

  • Länge über alles – 58,70m,
  • Breite auf Spanten – 11,50m,
  • Höhe bis Wagendeck – 5,50m,
  • Tiefgang beladen – 3,80m,
  • Geschwindigkeit 15 Knoten,
  • Dieselantrieb mit etwa 2500 PS,
  • Fassungsvermögen – 350 Personen und 40 PKW´s oder eine entsprechende Anzahl von LKW´s. Die Schiffe wurden für den Roll-on-roll-off-Verkehr (RoRo) konzipiert, d.h. sie konnten von vorne und hinten be- und entladen werden.

Die Schiffe wurden auf die Namen „Schleswig-Holstein“ und „Niedersachsen“ getauft. Kosten pro Schiff ca. 3,1 Millionen DM. Es wurden Mittel vom Bundesinvestitionshaushalt und vom Land Schleswig-Holstein beigesteuert. Man rechnete auf der neuen Linie mit einem Aufkommen von 140 000 Fahrzeugen pro Jahr.

Fotos der Fährschiffe

Die Anlegebrücke

Der Baubeginn sollte der 1. August 1968 sein. Für den Fähranleger mußte eine Zubringerstraße von 1200m gebaut werden, zusätzlich wurden 500m Deichverteidigungsweg geändert. Einige Wohnhäuser des Lagers Zweidorf mußten abgerissen - und eine Bunkerruine gesprengt werden. Eine neue Transformatorenstation sollte für die notwendige elektrische Energie sorgen.

Fotos vom Bau der Anlegebrücke

Der fertige Anleger

Brückentechnik: Länge ca. 150m, Länge der Tragpfähle 38m.

Das Fährhaus

Kurz nach der Inbetriebnahme der Fährverbindung wurde ein vom Architekten Ludwig Bunge aus Meldorf entworfenes Abfertigungsgebäude errichtet. Die ebenfalls darin enthaltene Gastronomie sollte den wartenden Fahrgästen die Zeit verkürzen.

Fährhaus Elbfähre

Das Ende der Fährverbindung

Am 13.06.1981 kam es zu einem folgenschweren Unglück, bei dem ein Elektriker verletzt wurde. Beim Anlegen der aus Cuxhaven kommenden Fähre stürzte das vordere, ca. 40m lange bewegliche Teil der Anlegebrücke aus mehreren Metern Höhe ins Wasser. Die beladene Fähre wurde nicht getroffen und konnte wieder Kurs auf Cuxhaven nehmen, um die Fahrzeuge und Personen an Land zu setzen.
Die Hydraulik des Anlegers, die in der Vergangenheit schon mehrfach durch Ausfälle den Betrieb lahm legte, war wohl Schuld an dem Unglück. Durch den Aufprall sind u.a. dicke Stahlträger eingeknickt, so daß sich eine Reparatur nicht lohnte.
Später wurde die „Schlewig-Holstein“ nach Hamburg geschleppt, über die weitere Verwendung war zu dem Zeitpunkt nichts bekannt.

Da die Frage nach einer Fortführung des Fährverkehrs noch nicht endgültig geklärt war, wurde der Anleger erst 1989 – und das Fährhaus 1991 abgerissen.

Die neuen Fähren

Jochen Steffen

1998 beschlossen der Cuxhavener Unternehmer Johannes Voß und der Bremer Transport-Unternehmer Egon H.Harms die Elbfähre Brunsbüttel-Cuxhaven wieder zu beleben. Mit drei Fährschiffen wollte Harms den Fährbetrieb aufnehmen. Es waren dies die „Jochen Steffen“, „Hinrich-Wilhelm Kopf“ und „Wilhelm Kaisen“.

Jochen Steffen war von 1965 bis 1975 Vorsitzender der SPD Schleswig Holsteins (siehe im Internet auch „Kuddl Schnööf“)
Hinrich-Wilhelm Kopf war der erste und der dritte Ministerpräsident Niedersachsens
Wilhelm Kaisen war ehemaliger Bürgermeister und Senatspräsident Bremens

Die Bauarbeiten für den neuen Anleger begannen im April 1999 fast an der gleichen Stelle, wie beim vorigen Anleger.

Fährbetrieb ab 1999

Im März 2001 war das Ende der Fährverbindung eingeläutet. Reeder Egon Harms führte das auf steigende Energiepreise und zu geringem LKW-Verkehr zurück. Für die drei Fährschiffe gab es bereits Kaufangebote aus Spanien und Südamerika (siehe entsprechenden Zeitungsartikel).

Fährbetrieb ab 2015

Ein neuer Anlauf für einen Fährbetrieb zeichnete sich 2015 ab. Christian Schulz, Geschäftsführer der Elb-Link-Reederei Cuxhaven, konnte zwar noch keinen genauen Termin nennen, es sollte aber noch im Jahre 2015 sein.
Zunächst mußten einige Ausbesserungen am Anleger vorgenommen werden, da dieser 14 Jahre lang nicht benutzt wurde. Zwei moderne, 2010 und 2011 gebaute Fährschiffe einer estnischen Reederei sollten zum Einsatz kommen. Sie wurden später in „Grete“ und „Annemarie“ umgetauft.
“Grete“, nach Grete Handorf, sie war 1924 Gründerin der Fährverbindung Cuxhaven-Brunsbüttel.
“Annemarie“ hieß eines ihrer ersten Schiffe.

Im Mai 2015 war es dann soweit, die Fähre „legte ab“. Bis zu 10mal sollten die Fähren täglich pendeln. Auf beiden Seiten der Elbe wurde die erneute Eröffnung gebührend begrüßt.

Leider war es dann im März 2017 wieder soweit – das „AUS“ stand vor der Tür. Der Brunsbütteler Speditionsunternehmer Friedrich A, Kruse bedauerte es sehr, da mitunter bis zu 30 seiner LKW´s täglich die Überfahrt mit der Fähre nutzten.
Der Elb-Link-Betriebsleiter Bernd Bässmann konnte den Betrieb noch einmal wieder aktivieren, allerdings nur mit der „Grete“.

Januar 2018: Wiederum Ende der aktuellen Fährverbindung.

Luftaufnahmen von Rainer Förtsch

Fährbetrieb ab 2021

Greenferry 2021

Es war aber noch nicht das absolute Ende. 2021 übernahm die „Elbferry-GmbH“ mit den Geschäftsführern Christian Strahlmann, Tim Brandt und Heinrich Ahlers, das Zepter für einen Neubeginn in die Hand. Am 1. März nahm die Fähre ihren Betrieb mit der „Greenferry I“ auf. „Dank Corona“ konnte nur die Hälfte der Tische an Bord genutzt werden.

Es half aber alles nichts, der Fährverkehr war Anfang 2022 wieder am Ende. Trotz Bittstellungen an Kreis, Land und Bund zeichnete sich kein Erfolg ab. Bei einem vom Bundestagsvizepräsidenten Wolfgang Kubicki organisierten Treffen mit dem Bundesverkehrsminister Wissmann in Berlin, bei dem die Bürgermeister Schmedtje (Brunsbüttel), Santjer (Cuxhaven), der Bürgervorsteher Brunsbüttels, Kunkowski, der Landrat Mohrdiek, der Landtagsabgeordnete Kumbartzky und die Kreistagsabgeordnete Kolb anwesend waren, dachte man es käme vielleicht ein gangbarer Weg zur Erhaltung bzw. Erneuerung der Elbfährverbindung zustande – aber – na ja – warten wir´s mal ab. Die Hoffnung stirbt ja bekanntlich zuletzt, aber – nach so vielen gescheiterten Versuchen …?

Leuchtbake Zweidorf

1873 wurde in Zweidorf eine viereckige, hölzerne Leuchtbake errichtet. Das Feuer leuchtete die Elbe stromaufwärts über die ganze Breite des Fahrwassers und stromabwärts bis an die weissen Tonnen No. 19, 18 und 17. Es wurde von Sonnenunter- bis Sonnenaufgang mit einem Petroleumbrenner betrieben.
Als 1895 das Leuchtfeuer des weißen Leuchtturms Soesmenhusen in Betrieb ging, war diese Bake überflüssig. Das Feuer wurde am 21. Dezember 1895 gelöscht und die Bake 1896 vom Zimmermeister M. Lau abgerissen.
Siehe auch Weißer_Leuchtturm_Soesmenhusen

Richtfeuer (Kanalreede)

Den „Nachrichten für Seefahrer“ kann man entnehmen, daß bereits 1900 Masten für die Kanalreede existierten. Laut dieser Akte wurden diese landgestützten Richtfeuer nur während der Wintermonate aktiviert, wenn die entsprechenden Leuchttonnen eingezogen waren.
Über dieses Richtfeuer ist leider nichts weiter bekannt.
Anfang der 1970er-Jahre wurde in Zweidorf ein neues Richtfeuer (Reedebefeuerung mit Ober- und Unterfeuer,OF und UF) in Betrieb genommen. Das Foto unten zeigt das Unterfeuer vor den Baracken Zweidorfs.

Daten LF Zweidorf 1987

Am 5. August 1987 nahm das neue LF Zweidorf seinen Betrieb auf. Es war ein 9,10m hoher, weißer Gitterturm mit rotem Rechteck als Toppzeichen. Er markierte die Westgrenze der Zufahrt zum NOK sowie die Ostgrenze von Neufeldreede
Die vorherige Leuchtfeuerlinie mit UF und OF Zweidorf wurde dadurch abgelöst und die Leuchtfeuerträger abgebaut.

Als 1999 die neue Elbfährlinie in Betrieb genommen wurde, hatte das WSA-NOK sich mit der Betreiberfirma arrangiert und der Leuchtfeuerträger konnte seitlich am neu geschaffenen Anleger installiert werden.

Baden

Der Brunsbütteler Badeverein wurde am 15. Febr. 1903 gegründet. Die Eröffnungsfeier war am 7. Juni 1903.
Badeanstalten_in_Brunsbüttel#1903_bis_1977.2F78_-_Bad_Brunsb.C3.BCttel

Der 2. Weltkrieg unterbrach die Vereinstätigkeiten, am 16. Juli 1950 wurde der Verein erneut ins Leben gerufen.

Näheres bitte dem folgenden link entnehmen.
Badeanstalten_in_Brunsbüttel#Die_Neugr.C3.BCndung_1949

1977 wurden die Badekabinen im Zuge der zweiten Deicherhöhung abgerissen.


Verwandte Themen